An update on Hurricane Gabrielle, which may make landfall on the US East Coast, has been released by experts.
Unfortunately, there is still plenty of time for tropical storms to affect the US coast and even farther inland in 2025, as the Atlantic hurricane season lasts until November 30.
The National Hurricane Center (NHC) has issued a warning about Gabrielle, which was officially declared a hurricane on Sunday, September 21. Hurricane Erin caused extensive damage last month.
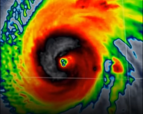
Gabrielle is now a Category 3 hurricane, according to experts, after almost vanishing in the middle of the Atlantic Ocean on Friday and into Saturday.

According to the NHC, a wind speed of 111 to 129 mph is classified as Category 3.
Speaking of such grading, the NHC states, “Devastating damage will occur: Well-built framed homes may incur major damage or removal of roof decking and gable ends. Many trees will be snapped or uprooted, blocking numerous roads. Electricity and water will be unavailable for several days to weeks after the storm passes.”
Providing an update on Gabrielle on Monday (September 22), the NHC said, “Maximum sustained winds remain near 120 mph (195 km/h) with higher gusts.”
“Gabrielle is a category 3 hurricane on the Saffir-Simpson Hurricane Wind Scale. Gabrielle could intensify even more today, though some weakening should begin by Wednesday.”
‘Life-threatening’ rip currents could occur over a 2,000-mile area of the United States, from Maine to Florida, according to forecasters at AccuWeather.
Meanwhile, the hurricane centre said: “These swells are likely to cause life-threatening surf and rip current conditions.”
DaSilva, the lead hurricane analyst at AccuWeather, is among those keeping a careful eye on events this week.
“Since Gabrielle has reached major hurricane intensity east of Bermuda, rough surf and rip currents could be significant and dangerous for the Atlantic beaches early this week,” DaSilva stated.
As of Monday morning, Gabrielle was located about 195 miles southeast of Bermuda, but no watches or warnings are in effect.
On Monday night, Gabrielle’s core is predicted to move east of Bermuda and avoid making landfall on the US East Coast.
The storm is predicted to move further to the northeast on Tuesday.
It’s not the only storm that is being tracked by experts, with DaSilva adding, “We are closely tracking a weak tropical wave moving toward the eastern Caribbean.”
“This wave could develop once it reaches the Bahamas this weekend and has a medium risk of formation.”
